







Consultation: Begin with a thorough consultation to discuss your symptoms and health history.
Overview: We'll go over the science behind APEX, and visit our APEX therapy room, so you can see the APEX wand, and we'll go over how the weekly treatments will go.
Treatment Plan: Work with our specialists to create a treatment plan to restore your circulatory wellness.
Results: After you start the program, we'll assess how you are improving, at the beginning of each follow-up visit.
APEX Wand: The APEX Wand uses bi-polar radio frequency energy and non-ablative sub-dermal heating to the target area, with multiple sensors to give real-time feedback.
Angiogenesis & Neocollagenesis: The energy promotes increased blood flow and collagen regrowth in the corpus cavernosa (sides of the target area) and the tunica albuginae (sheath enveloping the spongy areas).
Results: The heating of the tissue induces temporary inflammation and "growth" in the hyperthermic area. The corpus cavernosa more easily fills with blood, the tunica and fascia strengthen, increasing pressure inside an erect penis, improving hardness and closing the dorsal vein.
Restore: Collagen fiber restoration and remodeling enhances circulation and releases factors that support erections.


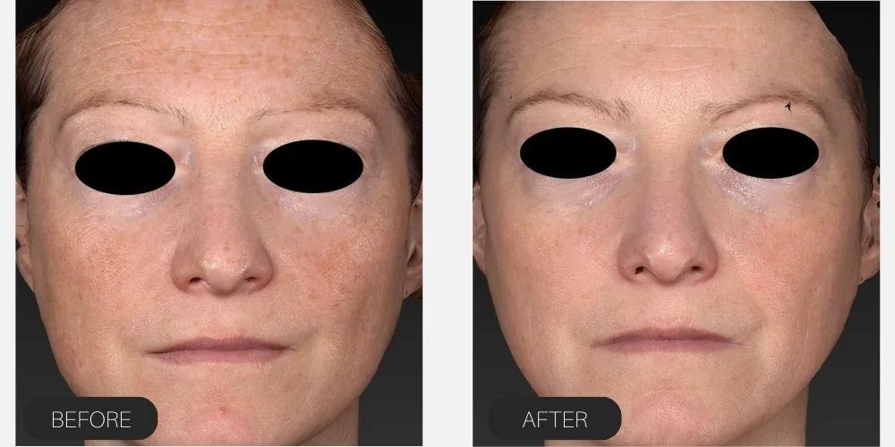
Why choose Genius RF Microneedling at Pure Health
✓ Unmatched Precision: The Genius device utilizes advanced micro-needles and radio frequency energy to precisely target problem areas, promoting collagen production and stimulating the skin's natural healing process.
✓ Superior Results: Witness dramatic improvements in skin texture, firmness, and elasticity as Genius effectively addresses various concerns, including wrinkles, scars, hyperpigmentation, and more.
✓ Minimally Invasive: With minimal downtime, the Genius treatment allows you to quickly resume your daily routine while enjoying noticeable improvements in your skin's appearance over time.
✓ Expert-Backed Technology: Developed by renowned industry professionals at Lutronics, the Genius device is trusted by medical experts worldwide for its exceptional safety and efficacy
Here's some stuff



I had no idea how much my bedroom issues were affecting my life until I tried APEX! Within weeks, I felt like myself again. I only wish I had started sooner!

Luis

I can't believe the difference APEX has made. My vitality and confidence had disappeared, but they've come back BIG TIME, and I finally feel in control of my body again. Thank you for this amazing treatment!
